EE. UU. emite alerta de huracán para Nueva York y Nueva Inglaterra
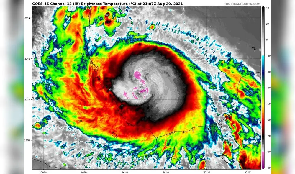
El Centro Nacional de Huracanes declaró la emergencia a medida que la tormenta Henri se fortalece en el Atlántico y está a punto de convertirse en ciclón.
- Genio chino de 14 años construye desde cero un motor turborreactor y sorprende al mundo con su talento científico
- El aeropuerto sobre la cordillera de los Andes que un país de Sudamérica moderniza con más de US$30 millones y estará listo en 2027

El Centro Nacional de Huracanes (NHC, en inglés) de Estados Unidos emitió este viernes 20 de agosto una alerta de huracán y de marejada ciclónica para Nueva York y la costa de Nueva Inglaterra a medida que la tormenta Henri se fortalece en el Atlántico y está a punto de convertirse en ciclón.
Los meteorólogos de la entidad detallaron que hay una advertencia de huracán para la costa sur de Long Island (Nueva York), desde Fire Island Inlet hasta Montauk Point, como también para la costa norte, desde Port Jefferson Harbor hasta Montauk Point.
TE RECOMENDAMOS
LO MEJOR DE LOS PROGRAMAS LR +
También desde New Haven (Connecticut) hasta el oeste de Watch Hill (Rhode Island), según precisó el más reciente boletín del NHC.
Igualmente se registró una advertencia de marejada ciclónica en la costa sur de Long Island, desde Mastic Beach hasta Montauk Point; en la costa norte, desde Oyster Bay hasta Montauk Point; y desde Greenwich (Connecticut) a Chatham (Massachusetts), incluido Nantucket, Martha’s Vineyard y Block Island.
Henri está a punto de convertirse en huracán con vientos máximos sostenidos de 70 mph (110 km/h) en su avance hacia la costa de Nueva Inglaterra. Se encuentra a unas 290 millas (470 km) al sur-sureste de Cabo Hatteras, en Carolina del Norte, y a 695 millas (1.115 km) de Montauk Point, en Nueva York.
Se desplaza hacia el nornoroeste con una velocidad de traslación de 7 mph (11 km/h) y, según el pronóstico más reciente del NHC, se espera que “toque tierra en el sur de Nueva Inglaterra en la tarde del sábado”.
Los meteorólogos previeron que se fortalecerá en las próximas 48 horas y se convertirá en huracán el sábado, cuando vaya a golpear la costa de Nueva Inglaterra.
Además del azote del viento y la lluvia, las áreas bajo aviso pueden sufrir una marejada ciclónica, con hasta 5 pies (1,50 metros) de subida del nivel del mar en algunos puntos de la costa.
La Administración Nacional de Océanos y Atmósfera de EE. UU. (NOAA) pronosticó que la actual temporada ciclónica en el Atlántico va a tener una actividad por encima del promedio. En lo que va del año se han formado dos huracanes en la cuenca atlántica, Grace y Elsa, este segundo a comienzos de julio.
































