Alerta en México: Huracán Flossie se intensificó a categoría 2 frente a las costas de Michoacán y Colima, sigue su trayectoria
Huracán Flossie se podrá intensificar a categoría 2 en las próximas horas de hoy, 1 de julio, según el Servicio Meteorológico Nacional. Estados costeros serán los más afectados.
- El compadre de 'El Chapo' Guzmán fue liberado en EEUU y regresó a México para ser arrestado otra vez por homicidio
- México: Tormenta Flossie evolucionó a huracán categoría 1 y afecta a varios estados costeros

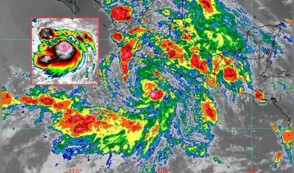
El Servicio Meteorológica Nacional de México (SMN) informó que el huracán Flossie se mantiene como categoría 2 y se va acercando a la costa de Colima. Autoridades prevén un posible impacto en tierra.
Flossie se encuentra en el Pacífico, con un desplazamiento de 17 km/h al noreoste, y en paralelo, de los estados de Michoacán, Guerrero, Colima y Jalisco. Según la trayectoria de la Comisión Nacional del Agua (Conagua), se acercaría a México como categoría 2.
PUEDES VER: Metro de CDMX cierra por intensas lluvias, 4 estaciones de la L8 no ofrecerán servicio hoy 30 de junio

¿En qué estados lloverá hoy por huracán Flossie?
A pesar de que Flossie se encuentra a 250 km de la costa de México, su extensa circulación y bandas nubosas alcanzan a afectar los estados de Michoacán, Colima, Guerrero y Jalisco, con lluvias torrenciales y fuertes vientos.
El pronóstico de lluvias para hoy 1 de julio es:
- Lluvias intensas a puntuales torrenciales (150 a 250 mm): Michoacán (costa) y Colima.
- Lluvias muy fuertes a puntuales intensas (75 a 150 mm): Tamaulipas (sur), Sinaloa (sierra y sur), Nayarit (norte, sierra y sur), Jalisco (oeste, costa y sur) y Guerrero (suroeste).
- Lluvias fuertes a puntuales muy fuertes (50 a 75 mm): Sonora, Chihuahua, Durango, Zacatecas, Nuevo León, San Luis Potosí, Aguascalientes, Guanajuato, Puebla, Veracruz y Oaxaca.
- Chubascos a lluvias puntuales fuertes (25 a 50 mm): Coahuila, Querétaro, Hidalgo, Estado de México, Chiapas, Tabasco, Campeche y Quintana Roo.
- Intervalos de chubascos (5 a 25 mm): Ciudad de México, Tlaxcala, Morelos y Yucatán.
Mantienen alerta de fuertes vientos y oleaje elevado en el Pacífico
Flossie continúa ganando fuerza en el pacífico y se podría convertir en huracán categoría 2 en las próximas horas. Ante ello, las autoridades indicaron que en los estados costeros se generará fuertes vientos de 100 a 120 km/h con rachas de 140 km/h, además de un oleaje de 5 a 6 metros de altura.
Conagua emitió una alerta por efectos de ciclón tropical desde Punta San Telmo, Michoacán, hasta Playa Pérula, Jalisco. Además, alertaron de desbordes e inundaciones en zonas bajas. En tanto, Protección Civil exhortó a la población de evitar hacer actividades al aire libre, sobre todo en la costa.
Suscríbete a La República México
Suscríbete al canal de YouTube La República México, donde encontrarás noticias clave, análisis y coberturas exclusivas sobre política, sociedad, economía y más. Haz clic aquí para suscribirte.


































