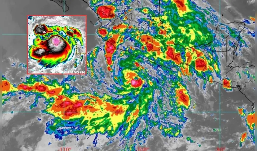
México: Tormenta Flossie evolucionó a huracán categoría 1 y afecta a varios estados costeros
Tormenta tropical Flossie evolucionó a huracán categoría 1 la madrugada del 1 de julio, estados costeros son los más afectados por lluvias intensas, vientos fuertes e inundaciones.
- Macabro hallazgo en México: encuentran 20 víctimas con signos de tortura cerca de la carretera de Sinaloa
- El compadre de 'El Chapo' Guzmán fue liberado en EEUU y regresó a México para ser arrestado otra vez por homicidio

La tormenta tropical Flossie se convirtió en huracán categoría 1 hoy, martes 1 de julio, frente a las costas de Michoacán, Colima y Guerrero, según el Centro Nacional de Huracanes (NHC).
El ciclón viene ocasionando lluvias torrenciales, vientos intensos, oleaje elevado y riesgo de trombas marinas que podrían provocar inundaciones repentinas y mortales en algunas zonas. Conoce aquí cuáles son los estados más afectados.
¿Qué estados serán afectados por tormenta tropical Flossie?
De acuerdo con el Servicio Meteorológico Nacional (SMN) y la Comisión Nacional del Agua (Conagua), la tormenta tropical afectará Flossie afectará a los siguientes estados:
- Guerrero: Se esperan lluvias intensas en puntos específicos, vientos que podrían alcanzar los 100 km/h, posibilidad de trombas marinas y oleaje entre 5 y 6 metros.
- Oaxaca: Se pronostican lluvias fuertes en la costa, vientos de hasta 70 km/h y oleaje de 2.5 a 3.5 metros.
- Michoacán y Colima: Habrá lluvias intensas, vientos de 90 a 100 km/h, oleaje entre 5 y 6 metros y posibilidad de trombas marinas.
- Jalisco: Lluvias intensas en las zonas costeras, vientos de hasta 70 km/h y oleaje de 2.5 a 3.5 metros.
- Nayarit: Se esperan lluvias muy fuertes.
- Tamaulipas, Hidalgo, Puebla, norte de Veracruz y este de San Luis Potosí: Se prevén lluvias intensas en puntos específicos, oleaje de 1.5 a 2.5 metros en las costas y vientos de hasta 70 km/h, con mejoría en las condiciones durante la tarde.
- Nuevo León: Se prevén luvias muy fuertes y vientos con rachas de hasta 70 km/h.
- Coahuila: Se registrará luvias fuertes y rachas de viento de hasta 70 km/h
- Estado de México, Querétaro, Guanajuato, Aguascalientes, Zacatecas y Durango: Lluvias muy fuertes por canal de baja presión y entrada de humedad.
- Ciudad de México, Tlaxcala, Morelos y Chihuahua: Lluvias fuertes.
- Sinaloa: Lluvias muy fuertes por entrada de humedad desde el Pacífico.
- Sonora y Baja California Sur: Presencia de chubascos aislados.
- Chiapas: Lluvias muy fuertes por canal de baja presión.
- Tabasco: Lluvias fuertes.
- Quintana Roo, Yucatán y Campeche: Presencia de chubascos.
PUEDES VER: Metro de CDMX cierra por intensas lluvias, 4 estaciones de la L8 no ofrecerán servicio hoy 30 de junio

Desplazamiento de la tormenta tropical Flossie
Según las actualizaciones del Conagua, la tormenta tropical Flossie continúa ganando fuerza frente a las costas mexicanas y se espera que se convierta en huracán categoría 1 este lunes 30 de junio.
Flossie, actualmente se encuentra a 270 km al sureste de Zihuatanejo y a 320 km al suroeste de Manzanillo. Asimismo, se estará desplazando por el noreste a 17 km/h provocando lluvias intensas en Jalisco, Colima, Michoacán, Oaxaca y Guerrero.
Flossie ya cobró su primera víctima
Autoridades de Seguridad y Protección Civil en Colima informaron que una persona desapareció luego de ingresar al mar en las costas de Manzanillo. Impactos de la tormenta tropical Flossie habría arrastrado al sujeto hacia el Pacífico.
La Unidad Estatal de Protección Civil (UEPC) del Gobierno del Estado de Colima indicó que la entidad se encuentra con luz verde, refiriéndose a que presente un peligro bajo. Sin embargo, solicitaron a los habitantes tomar las precauciones necesarias.
Suscríbete a La República México Suscríbete al canal de YouTube La República México, donde encontrarás noticias clave, análisis y coberturas exclusivas sobre política, sociedad, economía y más. Haz clic aquí para suscribirte.



































