
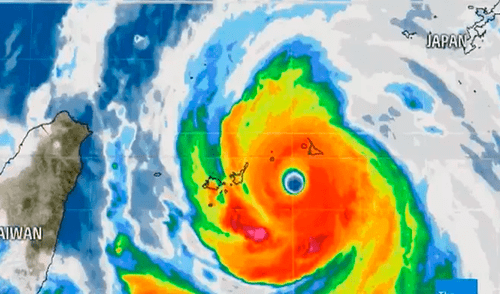
Alerta roja en China. El Centro Meteorológico Nacional emitió un comunicado en el que señala la llegada del súper tifón Lekima a las costas de la provincia de Zhejiang, situado al este del país, según la agencia estatal Xinhua.
El huracán, según la entidad, sería el más fuerte desde el 2014 y se espera que llega a tierras asiáticas este sábado 10 de agosto. Es posible que genere lluvias torrenciales desde hoy.
PUEDES VER Huawei: prohibición de contratos gubernamentales con Estados Unidos es una barrera comercial
Existe el riesgo de inundaciones en la zona. Entre los posibles lugares afectados se encuentran las provincias de Anhui, Fujian, Jiangs y Shanghái, ciudad más grande del país y núcleo financiero.
Por lo pronto, Taiwán odenó el cierre de escuelas, mercados y la cancelación de todos sus vuelos. Se exhortó también el retraso de los cruceros que tengan como destino Shanghái.
Según los reportes, a las 8 de la mañana, hora local, el huracán marino se encontraba al sureste de la ciudad de Wenling. Contaba con ráfagas de viento de hasta 209 kilómetros por hora.
El tifón es el noveno en lo que va del 2019. Se espera que se vaya debilitando al momento de desplazarse hacia el noroeste con una velocidad de 13 kilómetros por hora.
El sistema de emergencia de China cuenta con cuatro nivel para las condiciones climáticas riesgosas: rojo para el más grave, seguido de los de color naranja, amarillo y azul.





CINEPLANET: 2 entradas 2D + 2 bebidas grandes + Pop corn gigante. Lunes a Domingo
PRECIO
S/ 47.90
PERULANDIA: FULL DAY + Piscinas + S/. 35 o S/.40 de VALE DE CONSUMO + Perusaurus y más. Según elijas
PRECIO
S/ 59.90
VACILANDIA: Full Day + Vale de Consumo. Según elijas ¡DOMINGO 22 LA UNICA TROPICAL!
PRECIO
S/ 29.90
ALMUERZO O CENA BUFFET + Postre + 1 Ice tea de Hierba luisa en sus 4 LOCALES
PRECIO
S/ 85.90