
La tormenta tropical Flossie se convirtió en huracán categoría 1 hoy, martes 1 de julio, frente a las costas de Michoacán, Colima y Guerrero, según el Centro Nacional de Huracanes (NHC).
El ciclón viene ocasionando lluvias torrenciales, vientos intensos, oleaje elevado y riesgo de trombas marinas que podrían provocar inundaciones repentinas y mortales en algunas zonas. Conoce aquí cuáles son los estados más afectados.
De acuerdo con el Servicio Meteorológico Nacional (SMN) y la Comisión Nacional del Agua (Conagua), la tormenta tropical afectará Flossie afectará a los siguientes estados:
PUEDES VER: Metro de CDMX cierra por intensas lluvias, 4 estaciones de la L8 no ofrecerán servicio hoy 30 de junio

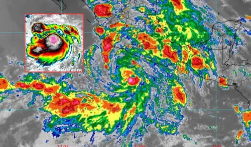
Según las actualizaciones del Conagua, la tormenta tropical Flossie continúa ganando fuerza frente a las costas mexicanas y se espera que se convierta en huracán categoría 1 este lunes 30 de junio.
Flossie, actualmente se encuentra a 270 km al sureste de Zihuatanejo y a 320 km al suroeste de Manzanillo. Asimismo, se estará desplazando por el noreste a 17 km/h provocando lluvias intensas en Jalisco, Colima, Michoacán, Oaxaca y Guerrero.
Autoridades de Seguridad y Protección Civil en Colima informaron que una persona desapareció luego de ingresar al mar en las costas de Manzanillo. Impactos de la tormenta tropical Flossie habría arrastrado al sujeto hacia el Pacífico.
La Unidad Estatal de Protección Civil (UEPC) del Gobierno del Estado de Colima indicó que la entidad se encuentra con luz verde, refiriéndose a que presente un peligro bajo. Sin embargo, solicitaron a los habitantes tomar las precauciones necesarias.
Suscríbete a La República México Suscríbete al canal de YouTube La República México, donde encontrarás noticias clave, análisis y coberturas exclusivas sobre política, sociedad, economía y más. Haz clic aquí para suscribirte.





PERULANDIA: FULL DAY + Piscinas + S/. 35 o S/.40 de VALE DE CONSUMO + Perusaurus y más. Según elijas
PRECIO
S/ 59.90
VACILANDIA: Full Day + Vale de Consumo. Según elijas (ARMONIA 10 este domingo 8 FEBRERO)
PRECIO
S/ 29.90
PARAISO DEL SUR: Entrada general full day para Niño o Adulto LUNES A DOMINGO
PRECIO
S/ 43.90
CINEPLANET: 2 entradas 2D + 2 bebidas grandes + Pop corn gigante. Lunes a Domingo
PRECIO
S/ 47.90