
Después de que el huracán Erick tocara tierra en las costas de México como una tormenta de categoría 3, comezó a debilitarse progresivamente. Como resultado, la Coordinación Nacional de Protección Civil empezó a reducir el nivel de alerta en algunas áreas del litoral del Pacífico. Cabe destacar que, durante el impacto, se mantuvo la alerta roja durante toda la noche y madrugada en las costas de Oaxaca y Guerrero. Ahora, el nivel de alerta disminuyó de forma significativa en varias regiones costeras de ambos estados.
PUEDES VER: Erick se convierte en huracán de categoría 4: trayectoria, impacto y previsiones de su paso por México

Con el debilitamiento de Erick tras su entrada al territorio nacional, la Coordinación Nacional de Protección Civil comenzó a reducir el nivel de alerta en varias regiones del Pacífico. La alerta roja que permaneció activa durante la noche fue desactivada progresivamente en Oaxaca y Guerrero, donde ya no se prevé mayor riesgo para la población.
El Gobierno Federal, en conjunto con autoridades estatales y municipales, mantuvo una comunicación constante para monitorear el avance del huracán. Esta coordinación permitió establecer estrategias de evacuación, monitoreo de ríos y atención a comunidades vulnerables, logrando una respuesta efectiva y oportuna ante el fenómeno.
PUEDES VER: Huracán Erick toca tierra en el sur de México tras convertirse en categoría 4, según informó el NHC

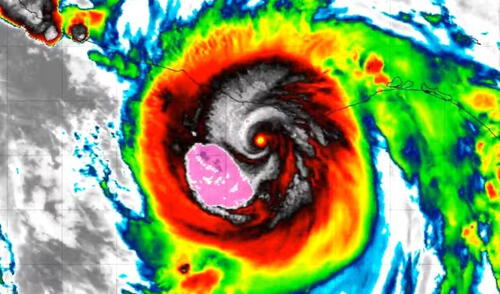
El Servicio Meteorológico Nacional (SMN) había informado que el fenómeno ingresó al territorio como un “huracán mayor” de categoría 3. Durante su impacto, los vientos sostenidos alcanzaron velocidades estimadas entre 210 y 230 km/h, con ráfagas que superaron los 250 km/h.
Erick se convirtió en el huracán más intenso en tocar tierra en México tan temprano en la temporada, ya que hasta ahora ningún otro huracán de categoría 3 o superior lo había hecho en el mes de junio. Aunque Erick ya se degradó, el Servicio Meteorológico Nacional advirtió que aún podrían presentarse lluvias fuertes en algunas regiones del sur y sureste del país.





PERULANDIA: FULL DAY + Piscinas + S/. 35 o S/.40 de VALE DE CONSUMO + Perusaurus y más. Según elijas
PRECIO
S/ 59.90
VACILANDIA: Full Day + Vale de Consumo. Según elijas (ARMONIA 10 este domingo 8 FEBRERO)
PRECIO
S/ 29.90
PARAISO DEL SUR: Entrada general full day para Niño o Adulto LUNES A DOMINGO
PRECIO
S/ 43.90
CINEPLANET: 2 entradas 2D + 2 bebidas grandes + Pop corn gigante. Lunes a Domingo
PRECIO
S/ 47.90